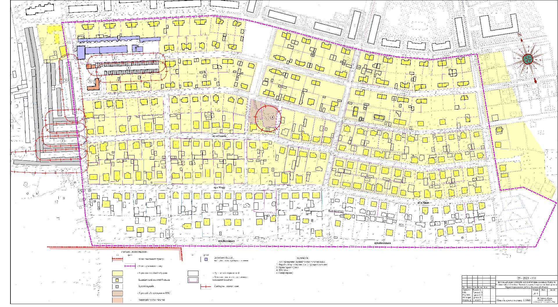
Детальний план території в районі вулиць Козацька,  Миру та Садова в місті Соснівка Червоноградської територіальної громади Червоноградського району Львівської області, затверджений рішенням Червоноградської міської ради від 30.03.2023 №1758

Приєднані файли:
ДПТ Соснівка_Козацька_ПЗ.pdf
Звіт Соснівка_Козацька.pdf
Довідка про громадського обговорення.doc
Довідка про консультації ДПТ Козацька Миру.doc
Заходи_моніторинг ДПТ.doc
Протокол громадських слухань.docx
Рішення про затвердж Соснівка.pdf
Поширити: